Inhalt
- 1 Wie sieht argentinischer Fisch aus?
- 2 Wo in Argentinien Fisch gefunden wird
- 3 Argentinien Fischgeschmack
- 4 Chemische Zusammensetzung des argentinischen Fisches
- 5 Vorteile von Argentinien Fisch
- 6 Argentinien Fisch Schaden
- 7 Kalorienfisch Argentinien
- 8 Kontraindikationen für argentinische Fische
- 9 Nutzungsbedingungen
- 10 Fazit
- 11 Bewertungen über die Vorteile und Gefahren von Fisch Argentinien
Fischgerichte sollten in der Ernährung jeder Person vorhanden sein. Sie sind mit mehrfach ungesättigten Säuren angereichert. Das Essen solcher Lebensmittel 1-2 mal pro Woche verbessert die Gehirnfunktion und normalisiert die Aktivität des gesamten Organismus als Ganzes. Es gibt verschiedene Sorten dieses Produkts. Die Vor- und Nachteile von argentinischen Fischen sind noch nicht vollständig erforscht. Dies ist eine diätetische Art von Produkt und sehr nahrhaft.
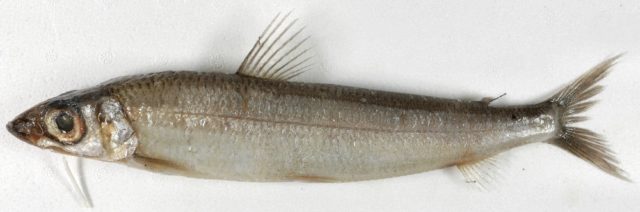
Wie sieht argentinischer Fisch aus?
Argentinischer Fisch hat einige Ähnlichkeiten mit Hering, unterscheidet sich jedoch in einem ungewöhnlichen Aussehen. Viele können aus dem Namen schließen, dass es in der Nähe von Argentinien lebt. Dies ist jedoch nicht ganz richtig. Der Fisch gehört zur Familie der Lachse. Und dieser Name wurde ihr gegeben, basierend auf der Farbe der Schuppen, die einen silbernen Farbton haben.
Argentinien wird auch Goldschmelze oder Silberfischchen genannt. Es hat einen länglichen und schmalen Körper. Die Länge überschreitet im Erwachsenenalter 56 cm nicht, während das Gewicht des Fisches 500 g beträgt. An den Seiten ist der Körper stark zusammengedrückt. Eine deutliche Verengung des Schwanzes ist sichtbar.
Argentiniens Aussehen gilt als ungewöhnlich. Der Kopf des goldenen Schmelzes ist nicht groß, wo es große Augen und einen kleinen spitzen Mund gibt. Überall am Körper gibt es Schuppen von bläulichem, goldenem und silbernem Farbton. Die Rückseite ist dunkelgelb oder graugrün gestrichen.

Wo in Argentinien Fisch gefunden wird
Der goldene Schmelz findet sich hauptsächlich im gemäßigten und kalten Wasser des Atlantischen, Indischen und Pazifischen Ozeans. Es befindet sich näher am Boden in einer Tiefe von 55-500 m, kann aber noch weiter gehen. Erwachsene lieben tiefes Wasser, während sich Jugendliche in seichten Gewässern niederlassen.
Der argentinische Fisch gilt als tief sitzender flacher Raubtier. Wohnt in Herden. Die Lebenserwartung beträgt im Durchschnitt 20-25 Jahre. Eier beginnen zwischen Mai und September im Alter von 9-12 Jahren zu laichen.
Argentinien Fischgeschmack
Gerichte aus goldenem Schmelz haben einen angenehmen und delikaten Geschmack. Argentinien kann gekocht, gedünstet, gebraten oder für Hackfleisch verwendet werden.
Chemische Zusammensetzung des argentinischen Fisches
Wissenschaftler streiten immer noch über die Vorteile und Gefahren Argentiniens. Viele Menschen glauben, dass dieses Produkt für den Körper sehr wertvoll ist.
Alles erklärt sich aus der reichen chemischen Zusammensetzung, zu der solche Substanzen gehören:
- Vitamin PP - 39,5%;
- Riboflavin - 16,7%;
- Phosphor - 27,5%;
- Schwefel - 17,6%;
- Kalium - 13,4%;
- Chrom - 110%;
- Fluor - 10,8%;
- Molybdän - 8,7%;
- Niacin - 5%;
- Nickel - 6%;
- Kobalt - 20%;
- Zink - 7%.
Die Zusammensetzung enthält auch nicht mehr als 100 g Natrium, was zur Aktivierung von Enzymen beiträgt.

Vorteile von Argentinien Fisch
Fische gelten als wertvolle Sorten. Es wird nützlich sein, solche Gerichte nicht nur für Erwachsene, sondern auch für Kinder unterschiedlichen Alters, schwangere und stillende Frauen zu konsumieren.
Diese Art von Produkt hilft, den Zustand von Zahn- und Knochengewebe zu verbessern.Normalisiert die Funktion des Zentralnervensystems und der Nieren. Fisch enthält bis zu 330 g Kalium, wodurch Sie überschüssige Flüssigkeit aus dem Körper entfernen und die Aktivität des Herzmuskels verbessern können.
100 g des Produkts machen 165 g Chlor aus, was für ein aktives Leben und die Normalisierung des niedrigen Blutdrucks notwendig ist.
Enthält Zink in ausreichender Menge. Dieses Spurenelement hilft, schnell mit Stress umzugehen, die Stimmung zu verbessern und die Potenz zu verbessern.
Es kann von Sportlern gegessen werden, da das Produkt einen hohen Proteingehalt hat. Es reicht aus, vor dem Training ein kleines Stück Fisch zu essen, danach fühlt sich der Körper nicht müde.
Fisch kann in jede Diät aufgenommen werden, da er wenig Fett und Kohlenhydrate enthält. Ein solches Gericht hilft Ihnen, sich schnell von schwerer Erschöpfung und nach der Operation zu erholen.
Argentinien Fisch Schaden
Beim Verzehr von argentinischem Fisch wurde kein Schaden festgestellt. Es kann gedünstet, gebraten oder gebacken werden. Es passt gut zu verschiedenen Produkten - Gemüse, Pilze, Kräuter.
Das einzige ist, dass Sie dieses Gericht nicht missbrauchen können. Übermäßiges Essen bedroht Darmstörungen und Vergiftungssymptome.
Um nachteilige Folgen zu vermeiden, ist es wichtig, das richtige Produkt auszuwählen. Das Fleisch sollte weiß sein. Der Fisch ist klein. Normalerweise überschreitet sein Gewicht 500 g nicht. Die Waage ist gleichmäßig angeordnet. Es sollten keine Risse auf der Haut sein.
Kalorienfisch Argentinien
Argentinien gilt als Diätfisch. Es enthält 17,5 g Protein, 2 g Fett und 0 g Kohlenhydrate. Der Energiewert beträgt 88 kcal.
Kontraindikationen für argentinische Fische
Die einzige Kontraindikation ist eine erhöhte Anfälligkeit für das Produkt. Es wird empfohlen, das Gericht von Kindern unterschiedlichen Alters, schwangeren und stillenden Frauen zu essen.
Nutzungsbedingungen

Es passt gut zu solchen Produkten:
- Gemüse - Zwiebeln, Tomaten, Karotten, Blumenkohl, Gurken, Kartoffeln, Ingwer, Chili;
- Gemüse - Petersilie, Dill, Sauerampfer;
- pflanzliche Öle und Fette - Sonnenblumen, Butter, Oliven, Margarine;
- Gewürze und Gewürze - Senf, Pfeffer, Essig, Oregano, Basilikum, Knoblauch, Hefe;
- Milchprodukte - Sahne, Käse, Milch, Kefir;
- Früchte - Ananas, Limette, Zitrone;
- Mayonnaise, weiße Sauce;
- Ei;
- Huhn und Speck;
- Buchweizen- und Reisgrütze;
- Pilze.
Köstliche Suppe wird aus goldenem Schmelz hergestellt. Wenn Sie den Kadaver zu Hackfleisch verarbeiten, können Sie Schnitzel oder Fleischbällchen kochen. Argentinien wird mit Ananas, Teig, Käse oder Sahnesauce gebacken.
Wenn Sie den Gurkengeruch des Produkts nicht mögen, wird der Schlachtkörper vor dem Kochen mit Zitronensaft oder Essig behandelt. Infolgedessen stellt sich heraus, dass das Gericht zart und nicht übergetrocknet ist.
Argentinien kann bis zu 6 Monate gefroren gelagert werden. Wenn das Produkt frisch gekauft wurde, muss es innerhalb von 10-12 Stunden gekocht werden.
Die beste Verarbeitungsmethode ist das Rösten. Der gesamte Vorgang dauert nicht länger als 10-15 Minuten. Bemerkenswerterweise werden Nährstoffe nicht zerstört, so dass argentinischer Fisch auch nach dem Kochen so nützlich wie möglich bleibt.
Um ein Gericht zuzubereiten, müssen Sie den Fisch unter kaltem Wasser von der Waage reinigen. Achten Sie darauf, den Kopf, die Flossen und den Schwanz zu entfernen. Manche Menschen ziehen es vor, ihre Haut vollständig zu entfernen - dies macht das Gericht noch schmackhafter. Der Kadaver wird in kleine Stücke geschnitten, mit Pfeffer bestreut und in Mehl gerollt. Beim Braten können Sie Zwiebelringe hinzufügen.

Fazit
Die Vor- und Nachteile von argentinischen Fischen sind seit langem untersucht worden, aber einige haben immer noch Zweifel. Dieses Produkt ist diätetisch und daher für viele Menschen, einschließlich Kinder, geeignet.Nebenwirkungen treten aufgrund der Verwendung von Goldschmelze selten auf. Vergiftungssymptome können jedoch auftreten, wenn Sie viel essen oder nicht genug erhitzen.